Frank P Matthews
A small upright-growing tree with very prominent, purple-green and white striped bark and bright orange leaf colours. Read more
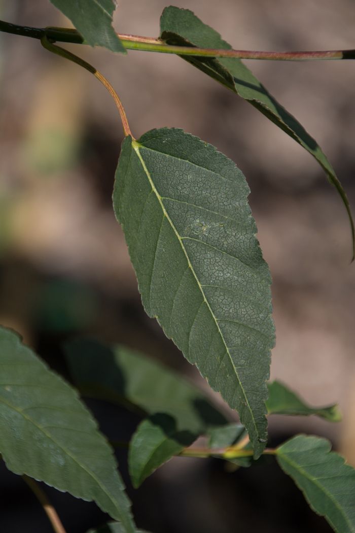
Description: Acer davidii 'Serpentine' is a small, upright-growing Snake-bark Maple. The small green leaves emerge from very prominent purple shoots and turn into a stunning dark yellow and bright orange colour in the autumn. It's purple bark matures into an olive green decorated with white stripes adding lovely year round interest.
History: Found as a seedling in the Netherlands before 1976.
Acer(Maple) Growing Tips: Very easy to grow in a wide range of well-drained soils. They thrive in sun but with partial shade to protect the leaves from scorch. A sheltered area away from strong winds is preferred.
Height and Spread (after 10 years) : 6m x 4m
Maple
Leaves have attractive pink variegation with deep red young shoots. Colourful winter bark, exceptional small tree.
Yellow Boxelder Maple
Golden leaves throughout the summer and drooping racemes of golden tassle-like flowers appear in June.
Shrimp Leaf Sycamore
Distinctive small tree with glorious shrimp pink, young spring foliage. Suitable for small gardens. Slow growing.
Red Maple
Medium-sized tree with a compact, narrow columnar crown. Autumn colours of purple and orange hues.
Your tree will have been pruned prior to despatch so there should be no need to prune straight away. The only exception is a bare root maiden which will not have been pruned. Some varieties will benefit from being pruned later – please see the variety specific information.
We would advise watering your tree when planting and then regularly during the first summer in the ground. Thereafter the level of watering will depend on the soil and weather conditions. It is best to not let young trees dry out.
A free booklet with simple instructions will be included with your order.
You can find more information in the ‘Advice’ section of our website. Click here for ‘How to Plant a Container Tree’ and here for ‘How to Plant a Bare Root Tree’.
Trees should always be planted as soon as possible. The only exception would be bare root trees if the soil is very frozen or waterlogged, in which case heel the trees in until the ground is ready. Bare root trees must be planted before new growth appears in spring, this is usually in March.
If your tree is to be kept in a container, then we’d advise repotting into a larger container as soon as possible. Please check to see whether the tree is suitable for a pot before purchasing.
If you have a coupon code for a discount off your order, this can be entered on your basket page. Please note only one coupon code can be used per order.
We currently offer 10% off all orders for active Military personnel and veterans.
Email with proof of service to sales@fpmatthews.co.uk. We will then send you a coupon code which can be used for 10% off your total.
Please note this cannot be used in conjunction with other discounts.
Please email sales@fpmatthews.co.uk within five working days and we will get back to you as soon as possible. Please include photos of any damage.
Yes, you can collect the trees from the nursery. Please select the ‘Collect’ option when placing the order. We will email you as soon as your order is ready for collection, we will then need at least two working days to prepare your order.
The delivery charge is calculated according to the number of boxes needed to send the trees. One container grown tree will need one box; bare root trees vary but we can usually get about four – six in a box. The total delivery cost will be shown when you place the order.
We deliver to Great Britain, Isle of Man and the Channel Islands. We don’t currently deliver to Northern and Southern Ireland.
We will notify you by email when your order has been despatched. It will usually be delivered within three days from notification.
Our large box is 2m tall and 30cm square. All products, other than Trained Trees can be sent in this box.
Our medium box is 1.5m tall and 30cm square. This is only available for small or patio grown trees and 1 year maiden bare root trees.
Selecting the large box size may reduce the necessity for pruning on selected varieties. Any required pruning is conducted by our tree experts and will not have a detrimental effect on the tree.
We are unable to offer a scheduled delivery service as we cannot guarantee an exact delivery date. We can aim for a specific week if you let us know by emailing at sales@fpmatthews.co.uk or call 01584 812808.
Our courier company will leave the package in the safest place if there is no one available at the address, so there is no need to sign for the delivery.
Container grown trees are available year round and bare root trees are available from November – March. We always aim to deliver your order as soon as every item is ready for despatch.
If the whole order is ready when purchased, it can usually be despatched within 2 working days. If urgent please contact us directly 01584 812808
See below for a guide on when bare root trees are usually ready for despatch.
Early November – Two year old plums, cherries, apples and then pears.
Late November – One year maiden plums, cherries, prunus and sorbus
Early December – One year maiden apples and malus
Mid/late December- One year maiden pears and remaining ornamental bare root.
This is an estimate as the lifting of bare root trees is very weather dependent. If you require delivery on a certain date please contact us at sales@fpmatthews.co.uk or call 01584 812808 we will try our best to facilitate.
If you are unhappy with your tree and wish to return it, the delivery charge will not be included in the refund.
If you change your mind or do not want to keep your tree, please email sales@fpmatthews.co.uk within five working days.
Trees will need to be returned at your cost. Once they arrive back with us in good condition we will process a refund for the tree.